病理学/病毒性心肌炎
来自医学百科
病毒性心肌炎(viral myocarditis)颇为常见,是由亲心肌病毒引起的原发性心肌炎症,常累及心包,引起心包心肌炎。事实上,所谓特发性心肌炎极可能是因病毒感染引起。
【病因和发病机制】
可 引起心肌炎的病毒种类颇多,其中最常见的是柯萨奇(Coxsackie)病毒、ECHO病毒(即人肠孤病毒)、风疹病毒、流行性感冒病毒、腮腺炎病毒等。 由于在妊娠最初3个月内感染柯萨奇病毒和风疹病毒时可引起胎儿的先天性心脏畸形,因此,这两种病毒占有特别重要的地位。人类的心肌炎以柯萨奇病毒B组感染 最为常见。一般而言,亲心肌病毒可直接破坏心肌细胞,但也可通过T细胞介导的免疫反应间接地破坏心肌细胞。由于此类病毒衣壳的糖蛋白分子结构与心肌细胞膜 的糖蛋白相似,故在感染后,机体所产生的抗体(激活补体的抗体及中和病毒的抗体)既针对病毒,亦针对心肌细胞。因此,当细胞毒性T细胞被致敏后,即可破坏 被病毒感染的心肌细胞。
【病变】
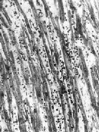
本病病变依患者年龄不同而有所不同。妊娠最初3个月的胎 儿感染风疹病毒时,可引起心内膜下心肌的无反应性心肌细胞坏死。在妊娠后期,胎儿感染柯萨奇病毒时则可引起全心炎,大多伴有心骨膜纤维弹性组织增生。初生 儿的病毒性心肌炎可见到心肌细胞坏死及粒细胞浸润。其后,代之以巨噬细胞、淋巴细胞、浆细胞浸润及肉芽组织形成(图8-41)。在成人,多累及心房后壁、 室间隔及心尖区,有时可累及传导系统。镜下,主要病变为坏死性心肌炎。晚期,可见到明显的心肌间质纤维化,伴有代偿性心肌肥大及心腔扩张(充血性心肌 病)。
图8-41 病毒性心肌炎
心肌间质内有弥漫性淋巴细胞及组织细胞浸润
参考[编辑 | 编辑源代码]
| |||||||||||||||||||||||||||||||||||||||||||